สารานุกรมพืชในประเทศไทย (ฉบับย่อ)
(Concise Encyclopedia of Plants in Thailand)


หมวดตัวอักษร 


Index to botanical names


ค้นหาคำศัพท์
ค้นหาคำศัพท์   

กระดูกไก่ดุม

กระดูกไก่ดุม
วันที่ 9 มีนาคม 2559

Breynia discigera Müll.Arg.

Phyllanthaceae

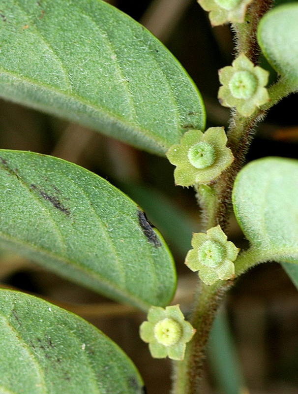
ไม้พุ่มหรือรอเลื้อย สูงได้ถึง 5 ม. กิ่งและใบมีขนหนาแน่น ใบเรียงสลับระนาบเดียว รูปรีหรือรูปไข่ ยาว 1.3–5 ซม. ด้านล่างมีนวล ก้านใบยาว 1–3 มม. ดอกเพศผู้อยู่ช่วงโคนกิ่ง ก้านดอกยาว 0.5–3 มม. กลีบเลี้ยงสีชมพูอมน้ำตาล ยาวประมาณ 1.7 มม. จักตื้น ๆ เกสรเพศผู้เชื่อมติดกันประมาณ 1 มม. ดอกเพศเมียก้านดอกยาว 0.5–1.5 มม. กลีบเลี้ยงยาว 1.5–2 มม. ขยายในผล ด้านนอกมีขน รังไข่มีขน ผลกลม เส้นผ่านศูนย์กลางประมาณ 5 มม. ปลายมีกะบัง สุกสีแดง เมล็ดยาวประมาณ 4 มม. เยื่อหุ้มสีส้ม (ดูข้อมูลเพิ่มเติมที่ ครามน้ำ, สกุล)

พบที่คาบสมุทรมลายู สุมาตรา และภาคใต้ของไทย ขึ้นตามป่าชายหาด ชายป่าดิบชื้น หรือป่าเสื่อมโทรม ความสูงไม่เกิน 300 เมตร ใบใช้ประคบบรรเทาโรคไต

กระดูกไก่ดุม: ใบเรียงสลับระนาบเดียว ดอกเพศผู้ติดช่วงโคนกิ่ง ก้านดอกยาว ดอกเพศเมียก้านดอกสั้น ปลายผลมีกะบัง กลีบเลี้ยงขยายในผล (ภาพ: ราชันย์ ภู่มา)



เอกสารอ้างอิง

van Welzen, P.C. and H.-J. Esser. (2005). Euphorbiaceae (Breynia). In Flora of Thailand Vol. 8(1): 134–136.